Hurrikan Melissa: Rund 700.000 Kinder in Jamaika in Gefahr

Hurrikan „Melissa“ nähert sich mit Windgeschwindigkeiten von bis zu 280 Kilometern pro Stunde der Insel Jamaika.
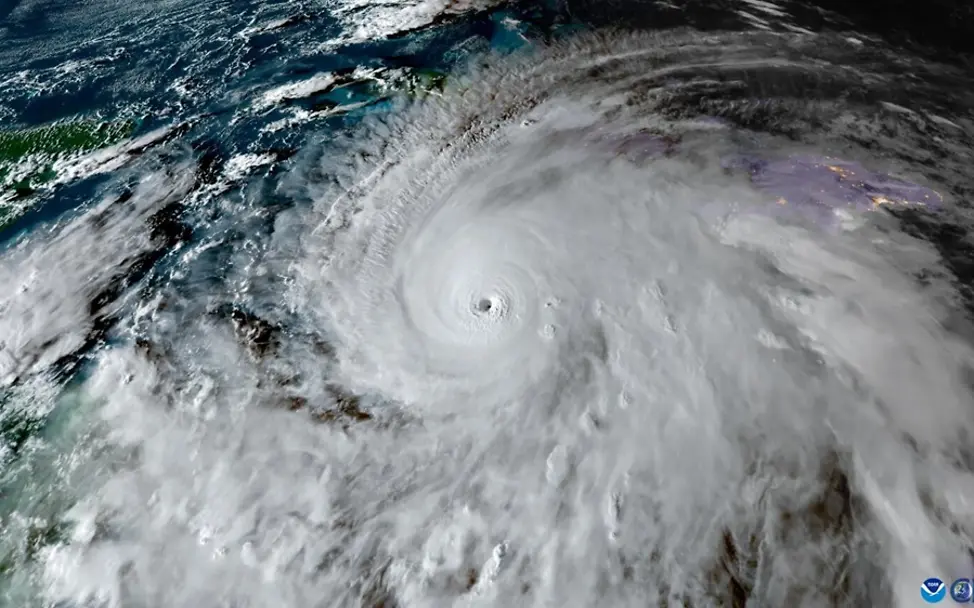
© UNICEF/UN0860203/CIRAHurrikan „Melissa“ nähert sich mit Windgeschwindigkeiten von bis zu 280 Kilometern pro Stunde der Insel Jamaika. Die Regierung hat die höchste Alarmstufe ausgerufen. Für Teile des Landes wurden Evakuierungen angeordnet. Laut Medienberichten könnte Hurrikan "Melissa" der stärkste je auf Jamaika registrierte Sturm werden.
„Der Hurrikan bringt allein auf Jamaika rund 700.000 Kinder in Gefahr, auch weitere Inseln in der Karibik liegen auf dem Weg dieses extrem bedrohlichen Wirbelsturms. Die Zerstörung durch Hurrikane hat oft gravierende und langfristige Folgen für Kinder und ihre Familien. Unsere UNICEF-Teams in Jamaika bereiten sich darauf vor, betroffene Kinder und Familien schnellstmöglich zu unterstützen“, sagte Christian Schneider, Geschäftsführer von UNICEF Deutschland.
Bereits in der vergangenen Woche hat UNICEF gemeinsamen mit den Behörden präventive Maßnahmen eingeleitet. Strategisch positionierte Hilfsgüter stehen bereit, darunter Hygienematerialien, Wasseraufbereitungsgeräte, Wasserbehälter und medizinische Ausrüstung.
Haiti und die Dominikanische Republik haben in den vergangenen Tagen bereits Starkregen und Überschwemmungen erlebt. Mindestens vier Personen haben ihr Leben verloren. Auch Kuba ist vom Hurrikan bedroht und könnte dort schwere Schäden anrichten. Lebensrettende Hilfsgüter von UNICEF stehen auch in diesen Ländern bereit, um Kinder und Familien zu unterstützen.
Service für die Redaktionen
» Gerne vermitteln wir Interviews mit den UNICEF-Teams in Jamaika.
» Bild- und Videomaterialien stehen hier zur Verfügung.

Christine KahmannSprecherin - Nothilfe