Hurrikan Melissa: UNICEF bringt Hilfsgüter in betroffene Regionen
+ + + + Update 30.10.2025, 15.30 Uhr + + + +
Hurrikan Melissa hat in Jamaika, Kuba und Haiti eine Schneise der Verwüstung hinterlassen. Mehr als 30 Menschen sind laut Berichten ums Leben gekommen.

Ein Junge läuft durch die überfluteten Straßen seiner Nachbarschaft in Haiti.
© UNICEF/UNI887428/NoelIn Jamaika hat der Hurrikan Häuser zerstört, ganze Städte unter Wasser gesetzt und Bäume entwurzelt. Windgeschwindigkeiten von bis zu 295 Kilometern pro Stunde richteten dort große Schäden an. Der Sturm riss außerdem zahlreiche Strommasten um und verursachte weitreichende Stromausfälle. Tausende Menschen mussten evakuiert werden und harren in Notunterkünften aus.
Kinder sind nach einer Katastrophe wie dieser besonders schutzbedürftig“, sagte Christian Schneider, Geschäftsführer von UNICEF Deutschland. „Vorrangig muss jetzt die grundlegende Versorgung wiederhergestellt werden, auf die Kinder und Familien dringend angewiesen sind – dazu gehören der Zugang zu sauberem Wasser, Nahrung, medizinischer Versorgung und Lernangeboten.“
Allein in Jamaika sind rund 280.000 Kinder auf Hilfe angewiesen. UNICEF schätzt, dass in der Karibik rund 1,6 Millionen Kinder in Folge des Hurrikans in Gefahr sind.
UNICEF leistet Hilfe für Kinder in Jamaika und der Karibik
UNICEF und seine Partner vor Ort arbeiten rund um die Uhr, um Kinder und Familien in Not zu erreichen. Die Teams haben bereits in den vergangenen Tagen lebenswichtige Hilfsgüter wie Trinkwasser, Medikamente, Zusatznahrung für Kinder sowie Hygieneartikel in der Region gelagert, um sie nun schnellstmöglich zu verteilen. Nach dem Hurrikan ist der Zugang zu sauberem Wasser besonders wichtig, um Krankheitsausbrüche zu verhindern. Außerdem leistet UNICEF psychosoziale Hilfe für betroffene Kinder.

Zum Post von UNICEF gelangen Sie hier.
© UNICEFUNICEF ruft zu Spenden auf
UNICEF ruft zu Spenden für Kinder auf Jamaika und in der von Hurrikan Melissa betroffenen Region auf:
Bank für Sozialwirtschaft Köln
IBAN DE57 3702 0500 0000 3000 00
BIC BFSWDE33XXX
Spendenstichwort: Hurrikan Melissa
Service für die Redaktionen
» Gerne vermitteln wir Interviews mit den UNICEF-Teams in Jamaika und der Region.
» Bild- und Videomaterialien stehen hier zur Verfügung

Christine KahmannSprecherin (Berlin) - Nothilfe & Internationale Themen
+ + + + Update 28.10.2025, 17.00 Uhr + + + +
Hurrikan Melissa: Rund 700.000 Kinder in Jamaika in Gefahr

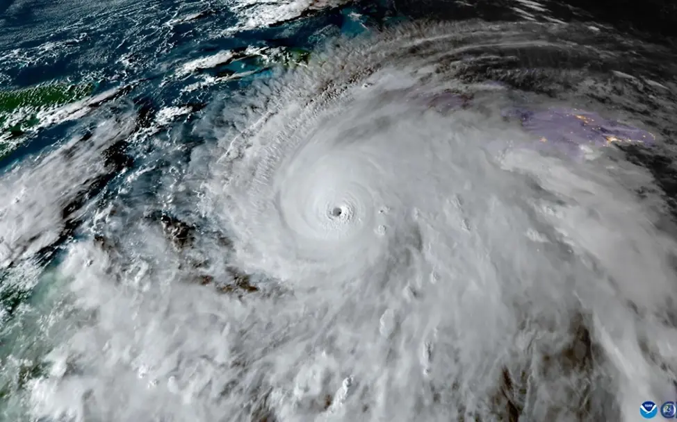
Hurrikan „Melissa“ nähert sich mit Windgeschwindigkeiten von bis zu 280 Kilometern pro Stunde der Insel Jamaika.
© UNICEF/UN0860203/CIRAHurrikan „Melissa“ nähert sich mit Windgeschwindigkeiten von bis zu 280 Kilometern pro Stunde der Insel Jamaika. Die Regierung hat die höchste Alarmstufe ausgerufen. Für Teile des Landes wurden Evakuierungen angeordnet. Laut Medienberichten könnte Hurrikan "Melissa" der stärkste je auf Jamaika registrierte Sturm werden.
„Der Hurrikan bringt allein auf Jamaika rund 700.000 Kinder in Gefahr, auch weitere Inseln in der Karibik liegen auf dem Weg dieses extrem bedrohlichen Wirbelsturms. Die Zerstörung durch Hurrikane hat oft gravierende und langfristige Folgen für Kinder und ihre Familien. Unsere UNICEF-Teams in Jamaika bereiten sich darauf vor, betroffene Kinder und Familien schnellstmöglich zu unterstützen“, sagte Christian Schneider, Geschäftsführer von UNICEF Deutschland.
Bereits in der vergangenen Woche hat UNICEF gemeinsamen mit den Behörden präventive Maßnahmen eingeleitet. Strategisch positionierte Hilfsgüter stehen bereit, darunter Hygienematerialien, Wasseraufbereitungsgeräte, Wasserbehälter und medizinische Ausrüstung.
Haiti und die Dominikanische Republik haben in den vergangenen Tagen bereits Starkregen und Überschwemmungen erlebt. Mindestens vier Personen haben ihr Leben verloren. Auch Kuba ist vom Hurrikan bedroht und könnte dort schwere Schäden anrichten. Lebensrettende Hilfsgüter von UNICEF stehen auch in diesen Ländern bereit, um Kinder und Familien zu unterstützen.
Service für die Redaktionen
» Gerne vermitteln wir Interviews mit den UNICEF-Teams in Jamaika.